江西
南昌
赣州
抚州
当前位置:
首页
>
南昌
>拆空净地!南昌山姆二店即将揭晓?
拆空净地!南昌山姆二店即将揭晓?
2026-03-31 21:19:46
拆空净地!南昌山姆二店即将揭晓?
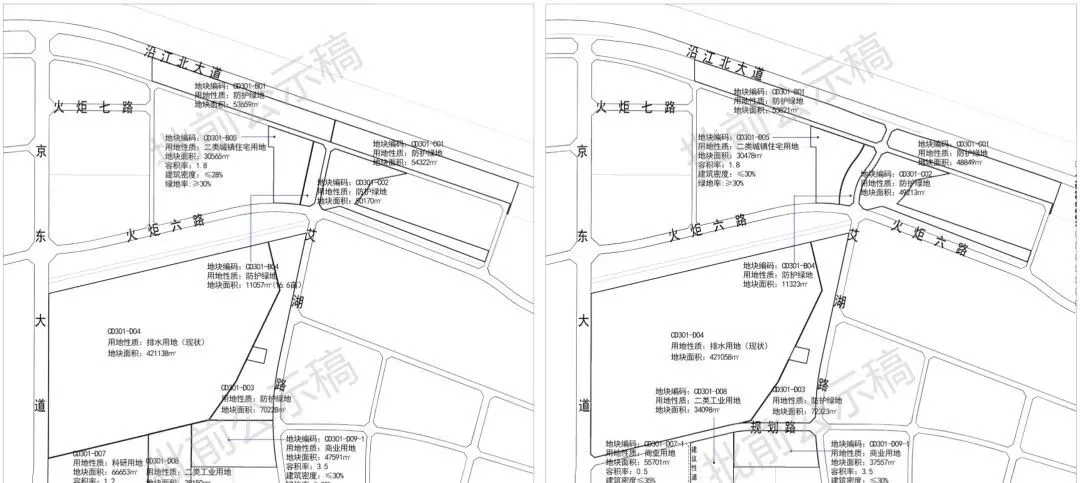
去年11月,南昌市自然资源和规划局公示了
<南昌市艾溪湖周边地区(城东片区CD3分区)控制性详细规划>CD301-B、C、D单元局部地块控规调整论证报告》
,该地块建设位置位于高新区京东大道以东、火炬五路以北、艾湖路以西。
从调整方案看,最值得关注的是其中
将CD301-D07地块(科研用地)调整为商业用地,同时还依照现状地铁口,保留了2宗轨道交通用地。
调整后地块编码为CD301-D07-01地块,用地性质为商业用地,地块面积55701平方米,容积率0.5,建筑密度35%,绿地率10%。
地块计容建筑面积约27850平方米!
据悉,
地块调整主要为完善高新区商业设施配套,同时地块位置与早先山姆会员店拟落户位置基本一致
,
面积也符合项目需求。
从区位看,
调整地块位置(新增商业用地)位于京东大道以东,火炬五路北侧,紧邻南昌地铁4号线北沥站。
但该地
块包
含
待腾拆的洪泰创新智造工场
,去年7月,工厂
产业园区现场
张贴了“
关于到期搬离园区的通知
”,显示:因企服公司招商需求,洪泰创新智造工场将整体腾空引进新的招商项目,我司于2025年5月20日已书面函至各企业,2025年6月30日合同到期后将不再续约,各企业需交还房屋给我司。
同时再次通知企业,因拆除工作的安全考虑,届时园区可能会停水停电,请园区各企业自行安排好搬迁工作,并于2025年7月6日前搬离园区。若企业未在该期间内搬离现场的物品,视为对该物品所有权的放弃,并将在后续拆除工作中进行彻底清空处理。落款单位为南昌高新企业管理服务有限公司。
近日从洪泰创新智造工场现场直击,
目前区域内厂房已经全部拆除,同时完成了地表清理、土地平整等基础施工,整个地块实现了
“净地”交付标准。
此前,
根据
相关
平台了解到,整个地块
启动了
地
价评估采购
,如今
洪泰创新智造工场净地交付,
这意味着其离挂牌出让更近一步。
高新区京东大道以东、火炬五路以北采购项目
业主名称为南昌市自然资源局高新分局;编码为
3601257633849032602260201;
项目规模为
55666平方米
;服务类型为土地评估;
服务内容为
高新区京东大道以东、火炬五路以北土地地价评估
。资质方面,
公司总部在南昌注册,熟悉高新区土地交易市场。
去年高新区发布了
《南昌高新区产业高质量发展的若干措施(试行)》通知,其中:
对政策实施期内
开业
面积
在
9000
㎡以上的
高品质
连锁品牌会员制仓储式超市给予开办补贴
1000
万元的奖励,网传也是为引进山姆?
如今,山姆网传地块距离挂牌出让仅一步之遥,你觉得山姆二店落地高新的概率大吗?欢迎留言讨论!
爱房小爱
1V1买房咨询
了解房源信息,
助您“
优中择优
”
~~~~~~~~~~~END~~~~~~~~~~~
---
//买房跟着榜单走//
---
-
南昌各区域近30日新房成交TOP3
红谷滩区:
TOP1
邦泰朗境
95套
成交均价
10950
元/㎡
TOP2
联发九龙和悦
41
套
成交均价
8800
元
/㎡
TOP3
建发九龙观唐
39套
成交均价
14423
元/㎡
西湖区:
TOP1
建发朝阳观云
47套
成交均价
17708
元/㎡
TOP2
锦绣朝阳
34
套
成交均价
12781
元/㎡
TOP3
锦瀚江投春天
16
套
成交均价
15803
元/㎡
东湖区:
TOP1
市政锦绣文澜
17
套
成交均价
10682
元
/㎡
TOP2
悦上鹭鸣
17
套
成交均价
14687
元/㎡
TOP3
国贸璟上
11套
成交均价
15030
元/㎡
高新区:
TOP1
建发朗云
37套
成交均价
11516
元/㎡
TOP2
方大太阳城
20套
成交均价
12390
元/㎡
TOP3
高新未来光樾
20套
成交均价
14523
元/㎡
青山湖区:
TOP1
产控铂樾府
29套
成交均价
9933
元/㎡
TOP
2
豪驰壹品
26套
成交均价
6927
元/㎡
TOP3
嘉龙盛世华庭
19
套
成交均价
9497
元/㎡
青云谱区:
TOP1
青云宸居
180套
成交均价
8788
元/㎡
TOP2
保利天汇
36套
成交均价
8482
元/㎡
TOP3
江投青云春天
26套
成交均价
9266
元/㎡
经开区:
TOP1
凤起豫章
48套
成交均价
11319
元/㎡
TOP2
菁华轩
20
套
成交均价
9939
/㎡
TOP3
水投御府
3套
成交均价
8727
元/㎡
湾里:
TOP1
四季花城
21
套
成交均价
5664
元/㎡
TOP2
十里风荷
5
套
成交均价
7973
元/㎡
TOP3
恒茂未来都会
4
套
成交均价
9000
元/㎡
如果觉得不错,请一键三连,答应我不分开:)
点分享
点推荐
点点赞
本文来自网友投稿或网络内容,如有侵犯您的权益请联系我们删除,联系邮箱:wyl860211@qq.com 。
南昌市新建区(浙江)商会第二届理事会换届大会暨新建区(杭州)招商引资推介会圆满举行
2026年南昌4月演出汇总来啦!
最新文章
南昌市新建区(浙江)商会第二届理事会换届大会暨新建区(杭州)招商引资推介会圆满举行
【南昌出发】4月2-9日一二三日游线路合集
南昌消防救援机动支队丨暗夜砺兵淬铁骨,按图行进砺尖兵
南昌大喜讯!红谷滩区迎来发展新机遇,住在这儿的人太幸福了!
南昌 “十五五” 住房规划发布!未来 5 年买房逻辑全变了!
南昌消防救援机动支队丨以“正规化”为表尺,锻造过硬队伍
南昌大学祝荫/张威等:工程益生菌搭载纳米酶,多管齐下对抗幽门螺杆菌 | 热心肠日报
南昌 “十五五” 住房规划发布!未来 5 年买房逻辑全变了!
南昌万象汇这个书店还有张老师的书,
南昌消防救援机动支队丨闻令而动练为战,野外驻训淬尖刀
热门文章
南昌市2026年供地计划:住宅商服双线收缩,"以销定产"逻辑深化
平安文体|南昌文体集团召开每月安全稳定工作例会暨清明节期间安全稳定工作部署会
南昌万象汇这个书店还有张老师的书,
南昌将再添2条“站点巴士”线路!
平安文体|南昌文体集团召开每月安全稳定工作例会暨清明节期间安全稳定工作部署会
地市动态|民革南昌市委会召开“三抓三促”提升年工作部署会
南昌县金湖管理处:政协聚力践三风 上门服务暖桑榆
南昌县金湖管理处:政协聚力践三风 上门服务暖桑榆
南昌美食|不辣的江西菜馆
南昌美食|不辣的江西菜馆
随机文章
10个月宝宝每天需要喝多少奶粉?
南昌急救中心2026年全面从严治党工作会议召开
南昌地铁三号线远期规划个人预测
不孕南昌指南
【要闻速览】南昌市第十二中学2026年3月工作简报
南昌市城市格局大洗牌!红谷滩与新建联手整合,发展逻辑彻底改写
南昌绿都物业·运动伴成长|亲子趣味运动会
南昌县人大常委会法制工作委员会副主任范海权接受纪律审查和监察调查
浙江人三刷南昌:5 大景点 6 大美食避坑不踩雷
【南昌教师招聘】南昌这3所优质学校2026年教师招聘
五彩幸福小区:南昌东投新力樘悦的“绿色彩”
基本
文件
流程
错误
SQL
调试
请求信息 : 2026-03-31 23:47:22 HTTP/2.0 GET : https://a.460.net.cn/a/493085.html
运行时间 : 0.100819s [ 吞吐率:9.92req/s ] 内存消耗:4,410.02kb 文件加载:140
缓存信息 : 0 reads,0 writes
会话信息 : SESSION_ID=4215c1d51e8e609dd3b531b2b319ac9f
/yingpanguazai/ssd/ssd1/www/a.460.net.cn/public/index.php ( 0.79 KB )
/yingpanguazai/ssd/ssd1/www/a.460.net.cn/vendor/autoload.php ( 0.17 KB )
/yingpanguazai/ssd/ssd1/www/a.460.net.cn/vendor/composer/autoload_real.php ( 2.49 KB )
/yingpanguazai/ssd/ssd1/www/a.460.net.cn/vendor/composer/platform_check.php ( 0.90 KB )
/yingpanguazai/ssd/ssd1/www/a.460.net.cn/vendor/composer/ClassLoader.php ( 14.03 KB )
/yingpanguazai/ssd/ssd1/www/a.460.net.cn/vendor/composer/autoload_static.php ( 4.90 KB )
/yingpanguazai/ssd/ssd1/www/a.460.net.cn/vendor/topthink/think-helper/src/helper.php ( 8.34 KB )
/yingpanguazai/ssd/ssd1/www/a.460.net.cn/vendor/topthink/think-validate/src/helper.php ( 2.19 KB )
/yingpanguazai/ssd/ssd1/www/a.460.net.cn/vendor/topthink/think-orm/src/helper.php ( 1.47 KB )
/yingpanguazai/ssd/ssd1/www/a.460.net.cn/vendor/topthink/think-orm/stubs/load_stubs.php ( 0.16 KB )
/yingpanguazai/ssd/ssd1/www/a.460.net.cn/vendor/topthink/framework/src/think/Exception.php ( 1.69 KB )
/yingpanguazai/ssd/ssd1/www/a.460.net.cn/vendor/topthink/think-container/src/Facade.php ( 2.71 KB )
/yingpanguazai/ssd/ssd1/www/a.460.net.cn/vendor/symfony/deprecation-contracts/function.php ( 0.99 KB )
/yingpanguazai/ssd/ssd1/www/a.460.net.cn/vendor/symfony/polyfill-mbstring/bootstrap.php ( 8.26 KB )
/yingpanguazai/ssd/ssd1/www/a.460.net.cn/vendor/symfony/polyfill-mbstring/bootstrap80.php ( 9.78 KB )
/yingpanguazai/ssd/ssd1/www/a.460.net.cn/vendor/symfony/var-dumper/Resources/functions/dump.php ( 1.49 KB )
/yingpanguazai/ssd/ssd1/www/a.460.net.cn/vendor/topthink/think-dumper/src/helper.php ( 0.18 KB )
/yingpanguazai/ssd/ssd1/www/a.460.net.cn/vendor/symfony/var-dumper/VarDumper.php ( 4.30 KB )
/yingpanguazai/ssd/ssd1/www/a.460.net.cn/vendor/topthink/framework/src/think/App.php ( 15.30 KB )
/yingpanguazai/ssd/ssd1/www/a.460.net.cn/vendor/topthink/think-container/src/Container.php ( 15.76 KB )
/yingpanguazai/ssd/ssd1/www/a.460.net.cn/vendor/psr/container/src/ContainerInterface.php ( 1.02 KB )
/yingpanguazai/ssd/ssd1/www/a.460.net.cn/app/provider.php ( 0.19 KB )
/yingpanguazai/ssd/ssd1/www/a.460.net.cn/vendor/topthink/framework/src/think/Http.php ( 6.04 KB )
/yingpanguazai/ssd/ssd1/www/a.460.net.cn/vendor/topthink/think-helper/src/helper/Str.php ( 7.29 KB )
/yingpanguazai/ssd/ssd1/www/a.460.net.cn/vendor/topthink/framework/src/think/Env.php ( 4.68 KB )
/yingpanguazai/ssd/ssd1/www/a.460.net.cn/app/common.php ( 0.03 KB )
/yingpanguazai/ssd/ssd1/www/a.460.net.cn/vendor/topthink/framework/src/helper.php ( 18.78 KB )
/yingpanguazai/ssd/ssd1/www/a.460.net.cn/vendor/topthink/framework/src/think/Config.php ( 5.54 KB )
/yingpanguazai/ssd/ssd1/www/a.460.net.cn/config/app.php ( 0.95 KB )
/yingpanguazai/ssd/ssd1/www/a.460.net.cn/config/cache.php ( 0.78 KB )
/yingpanguazai/ssd/ssd1/www/a.460.net.cn/config/console.php ( 0.23 KB )
/yingpanguazai/ssd/ssd1/www/a.460.net.cn/config/cookie.php ( 0.56 KB )
/yingpanguazai/ssd/ssd1/www/a.460.net.cn/config/database.php ( 2.48 KB )
/yingpanguazai/ssd/ssd1/www/a.460.net.cn/vendor/topthink/framework/src/think/facade/Env.php ( 1.67 KB )
/yingpanguazai/ssd/ssd1/www/a.460.net.cn/config/filesystem.php ( 0.61 KB )
/yingpanguazai/ssd/ssd1/www/a.460.net.cn/config/lang.php ( 0.91 KB )
/yingpanguazai/ssd/ssd1/www/a.460.net.cn/config/log.php ( 1.35 KB )
/yingpanguazai/ssd/ssd1/www/a.460.net.cn/config/middleware.php ( 0.19 KB )
/yingpanguazai/ssd/ssd1/www/a.460.net.cn/config/route.php ( 1.89 KB )
/yingpanguazai/ssd/ssd1/www/a.460.net.cn/config/session.php ( 0.57 KB )
/yingpanguazai/ssd/ssd1/www/a.460.net.cn/config/trace.php ( 0.34 KB )
/yingpanguazai/ssd/ssd1/www/a.460.net.cn/config/view.php ( 0.82 KB )
/yingpanguazai/ssd/ssd1/www/a.460.net.cn/app/event.php ( 0.25 KB )
/yingpanguazai/ssd/ssd1/www/a.460.net.cn/vendor/topthink/framework/src/think/Event.php ( 7.67 KB )
/yingpanguazai/ssd/ssd1/www/a.460.net.cn/app/service.php ( 0.13 KB )
/yingpanguazai/ssd/ssd1/www/a.460.net.cn/app/AppService.php ( 0.26 KB )
/yingpanguazai/ssd/ssd1/www/a.460.net.cn/vendor/topthink/framework/src/think/Service.php ( 1.64 KB )
/yingpanguazai/ssd/ssd1/www/a.460.net.cn/vendor/topthink/framework/src/think/Lang.php ( 7.35 KB )
/yingpanguazai/ssd/ssd1/www/a.460.net.cn/vendor/topthink/framework/src/lang/zh-cn.php ( 13.70 KB )
/yingpanguazai/ssd/ssd1/www/a.460.net.cn/vendor/topthink/framework/src/think/initializer/Error.php ( 3.31 KB )
/yingpanguazai/ssd/ssd1/www/a.460.net.cn/vendor/topthink/framework/src/think/initializer/RegisterService.php ( 1.33 KB )
/yingpanguazai/ssd/ssd1/www/a.460.net.cn/vendor/services.php ( 0.14 KB )
/yingpanguazai/ssd/ssd1/www/a.460.net.cn/vendor/topthink/framework/src/think/service/PaginatorService.php ( 1.52 KB )
/yingpanguazai/ssd/ssd1/www/a.460.net.cn/vendor/topthink/framework/src/think/service/ValidateService.php ( 0.99 KB )
/yingpanguazai/ssd/ssd1/www/a.460.net.cn/vendor/topthink/framework/src/think/service/ModelService.php ( 2.04 KB )
/yingpanguazai/ssd/ssd1/www/a.460.net.cn/vendor/topthink/think-trace/src/Service.php ( 0.77 KB )
/yingpanguazai/ssd/ssd1/www/a.460.net.cn/vendor/topthink/framework/src/think/Middleware.php ( 6.72 KB )
/yingpanguazai/ssd/ssd1/www/a.460.net.cn/vendor/topthink/framework/src/think/initializer/BootService.php ( 0.77 KB )
/yingpanguazai/ssd/ssd1/www/a.460.net.cn/vendor/topthink/think-orm/src/Paginator.php ( 11.86 KB )
/yingpanguazai/ssd/ssd1/www/a.460.net.cn/vendor/topthink/think-validate/src/Validate.php ( 63.20 KB )
/yingpanguazai/ssd/ssd1/www/a.460.net.cn/vendor/topthink/think-orm/src/Model.php ( 23.55 KB )
/yingpanguazai/ssd/ssd1/www/a.460.net.cn/vendor/topthink/think-orm/src/model/concern/Attribute.php ( 21.05 KB )
/yingpanguazai/ssd/ssd1/www/a.460.net.cn/vendor/topthink/think-orm/src/model/concern/AutoWriteData.php ( 4.21 KB )
/yingpanguazai/ssd/ssd1/www/a.460.net.cn/vendor/topthink/think-orm/src/model/concern/Conversion.php ( 6.44 KB )
/yingpanguazai/ssd/ssd1/www/a.460.net.cn/vendor/topthink/think-orm/src/model/concern/DbConnect.php ( 5.16 KB )
/yingpanguazai/ssd/ssd1/www/a.460.net.cn/vendor/topthink/think-orm/src/model/concern/ModelEvent.php ( 2.33 KB )
/yingpanguazai/ssd/ssd1/www/a.460.net.cn/vendor/topthink/think-orm/src/model/concern/RelationShip.php ( 28.29 KB )
/yingpanguazai/ssd/ssd1/www/a.460.net.cn/vendor/topthink/think-helper/src/contract/Arrayable.php ( 0.09 KB )
/yingpanguazai/ssd/ssd1/www/a.460.net.cn/vendor/topthink/think-helper/src/contract/Jsonable.php ( 0.13 KB )
/yingpanguazai/ssd/ssd1/www/a.460.net.cn/vendor/topthink/think-orm/src/model/contract/Modelable.php ( 0.09 KB )
/yingpanguazai/ssd/ssd1/www/a.460.net.cn/vendor/topthink/framework/src/think/Db.php ( 2.88 KB )
/yingpanguazai/ssd/ssd1/www/a.460.net.cn/vendor/topthink/think-orm/src/DbManager.php ( 8.52 KB )
/yingpanguazai/ssd/ssd1/www/a.460.net.cn/vendor/topthink/framework/src/think/Log.php ( 6.28 KB )
/yingpanguazai/ssd/ssd1/www/a.460.net.cn/vendor/topthink/framework/src/think/Manager.php ( 3.92 KB )
/yingpanguazai/ssd/ssd1/www/a.460.net.cn/vendor/psr/log/src/LoggerTrait.php ( 2.69 KB )
/yingpanguazai/ssd/ssd1/www/a.460.net.cn/vendor/psr/log/src/LoggerInterface.php ( 2.71 KB )
/yingpanguazai/ssd/ssd1/www/a.460.net.cn/vendor/topthink/framework/src/think/Cache.php ( 4.92 KB )
/yingpanguazai/ssd/ssd1/www/a.460.net.cn/vendor/psr/simple-cache/src/CacheInterface.php ( 4.71 KB )
/yingpanguazai/ssd/ssd1/www/a.460.net.cn/vendor/topthink/think-helper/src/helper/Arr.php ( 16.63 KB )
/yingpanguazai/ssd/ssd1/www/a.460.net.cn/vendor/topthink/framework/src/think/cache/driver/File.php ( 7.84 KB )
/yingpanguazai/ssd/ssd1/www/a.460.net.cn/vendor/topthink/framework/src/think/cache/Driver.php ( 9.03 KB )
/yingpanguazai/ssd/ssd1/www/a.460.net.cn/vendor/topthink/framework/src/think/contract/CacheHandlerInterface.php ( 1.99 KB )
/yingpanguazai/ssd/ssd1/www/a.460.net.cn/app/Request.php ( 0.09 KB )
/yingpanguazai/ssd/ssd1/www/a.460.net.cn/vendor/topthink/framework/src/think/Request.php ( 55.78 KB )
/yingpanguazai/ssd/ssd1/www/a.460.net.cn/app/middleware.php ( 0.25 KB )
/yingpanguazai/ssd/ssd1/www/a.460.net.cn/vendor/topthink/framework/src/think/Pipeline.php ( 2.61 KB )
/yingpanguazai/ssd/ssd1/www/a.460.net.cn/vendor/topthink/think-trace/src/TraceDebug.php ( 3.40 KB )
/yingpanguazai/ssd/ssd1/www/a.460.net.cn/vendor/topthink/framework/src/think/middleware/SessionInit.php ( 1.94 KB )
/yingpanguazai/ssd/ssd1/www/a.460.net.cn/vendor/topthink/framework/src/think/Session.php ( 1.80 KB )
/yingpanguazai/ssd/ssd1/www/a.460.net.cn/vendor/topthink/framework/src/think/session/driver/File.php ( 6.27 KB )
/yingpanguazai/ssd/ssd1/www/a.460.net.cn/vendor/topthink/framework/src/think/contract/SessionHandlerInterface.php ( 0.87 KB )
/yingpanguazai/ssd/ssd1/www/a.460.net.cn/vendor/topthink/framework/src/think/session/Store.php ( 7.12 KB )
/yingpanguazai/ssd/ssd1/www/a.460.net.cn/vendor/topthink/framework/src/think/Route.php ( 23.73 KB )
/yingpanguazai/ssd/ssd1/www/a.460.net.cn/vendor/topthink/framework/src/think/route/RuleName.php ( 5.75 KB )
/yingpanguazai/ssd/ssd1/www/a.460.net.cn/vendor/topthink/framework/src/think/route/Domain.php ( 2.53 KB )
/yingpanguazai/ssd/ssd1/www/a.460.net.cn/vendor/topthink/framework/src/think/route/RuleGroup.php ( 22.43 KB )
/yingpanguazai/ssd/ssd1/www/a.460.net.cn/vendor/topthink/framework/src/think/route/Rule.php ( 26.95 KB )
/yingpanguazai/ssd/ssd1/www/a.460.net.cn/vendor/topthink/framework/src/think/route/RuleItem.php ( 9.78 KB )
/yingpanguazai/ssd/ssd1/www/a.460.net.cn/route/app.php ( 1.72 KB )
/yingpanguazai/ssd/ssd1/www/a.460.net.cn/vendor/topthink/framework/src/think/facade/Route.php ( 4.70 KB )
/yingpanguazai/ssd/ssd1/www/a.460.net.cn/vendor/topthink/framework/src/think/route/dispatch/Controller.php ( 4.74 KB )
/yingpanguazai/ssd/ssd1/www/a.460.net.cn/vendor/topthink/framework/src/think/route/Dispatch.php ( 10.44 KB )
/yingpanguazai/ssd/ssd1/www/a.460.net.cn/app/controller/Index.php ( 4.81 KB )
/yingpanguazai/ssd/ssd1/www/a.460.net.cn/app/BaseController.php ( 2.05 KB )
/yingpanguazai/ssd/ssd1/www/a.460.net.cn/vendor/topthink/think-orm/src/facade/Db.php ( 0.93 KB )
/yingpanguazai/ssd/ssd1/www/a.460.net.cn/vendor/topthink/think-orm/src/db/connector/Mysql.php ( 5.44 KB )
/yingpanguazai/ssd/ssd1/www/a.460.net.cn/vendor/topthink/think-orm/src/db/PDOConnection.php ( 52.47 KB )
/yingpanguazai/ssd/ssd1/www/a.460.net.cn/vendor/topthink/think-orm/src/db/Connection.php ( 8.39 KB )
/yingpanguazai/ssd/ssd1/www/a.460.net.cn/vendor/topthink/think-orm/src/db/ConnectionInterface.php ( 4.57 KB )
/yingpanguazai/ssd/ssd1/www/a.460.net.cn/vendor/topthink/think-orm/src/db/builder/Mysql.php ( 16.58 KB )
/yingpanguazai/ssd/ssd1/www/a.460.net.cn/vendor/topthink/think-orm/src/db/Builder.php ( 24.06 KB )
/yingpanguazai/ssd/ssd1/www/a.460.net.cn/vendor/topthink/think-orm/src/db/BaseBuilder.php ( 27.50 KB )
/yingpanguazai/ssd/ssd1/www/a.460.net.cn/vendor/topthink/think-orm/src/db/Query.php ( 15.71 KB )
/yingpanguazai/ssd/ssd1/www/a.460.net.cn/vendor/topthink/think-orm/src/db/BaseQuery.php ( 45.13 KB )
/yingpanguazai/ssd/ssd1/www/a.460.net.cn/vendor/topthink/think-orm/src/db/concern/TimeFieldQuery.php ( 7.43 KB )
/yingpanguazai/ssd/ssd1/www/a.460.net.cn/vendor/topthink/think-orm/src/db/concern/AggregateQuery.php ( 3.26 KB )
/yingpanguazai/ssd/ssd1/www/a.460.net.cn/vendor/topthink/think-orm/src/db/concern/ModelRelationQuery.php ( 20.07 KB )
/yingpanguazai/ssd/ssd1/www/a.460.net.cn/vendor/topthink/think-orm/src/db/concern/ParamsBind.php ( 3.66 KB )
/yingpanguazai/ssd/ssd1/www/a.460.net.cn/vendor/topthink/think-orm/src/db/concern/ResultOperation.php ( 7.01 KB )
/yingpanguazai/ssd/ssd1/www/a.460.net.cn/vendor/topthink/think-orm/src/db/concern/WhereQuery.php ( 19.37 KB )
/yingpanguazai/ssd/ssd1/www/a.460.net.cn/vendor/topthink/think-orm/src/db/concern/JoinAndViewQuery.php ( 7.11 KB )
/yingpanguazai/ssd/ssd1/www/a.460.net.cn/vendor/topthink/think-orm/src/db/concern/TableFieldInfo.php ( 2.63 KB )
/yingpanguazai/ssd/ssd1/www/a.460.net.cn/vendor/topthink/think-orm/src/db/concern/Transaction.php ( 2.77 KB )
/yingpanguazai/ssd/ssd1/www/a.460.net.cn/vendor/topthink/framework/src/think/log/driver/File.php ( 5.96 KB )
/yingpanguazai/ssd/ssd1/www/a.460.net.cn/vendor/topthink/framework/src/think/contract/LogHandlerInterface.php ( 0.86 KB )
/yingpanguazai/ssd/ssd1/www/a.460.net.cn/vendor/topthink/framework/src/think/log/Channel.php ( 3.89 KB )
/yingpanguazai/ssd/ssd1/www/a.460.net.cn/vendor/topthink/framework/src/think/event/LogRecord.php ( 1.02 KB )
/yingpanguazai/ssd/ssd1/www/a.460.net.cn/vendor/topthink/think-helper/src/Collection.php ( 16.47 KB )
/yingpanguazai/ssd/ssd1/www/a.460.net.cn/vendor/topthink/framework/src/think/facade/View.php ( 1.70 KB )
/yingpanguazai/ssd/ssd1/www/a.460.net.cn/vendor/topthink/framework/src/think/View.php ( 4.39 KB )
/yingpanguazai/ssd/ssd1/www/a.460.net.cn/vendor/topthink/framework/src/think/Response.php ( 8.81 KB )
/yingpanguazai/ssd/ssd1/www/a.460.net.cn/vendor/topthink/framework/src/think/response/View.php ( 3.29 KB )
/yingpanguazai/ssd/ssd1/www/a.460.net.cn/vendor/topthink/framework/src/think/Cookie.php ( 6.06 KB )
/yingpanguazai/ssd/ssd1/www/a.460.net.cn/vendor/topthink/think-view/src/Think.php ( 8.38 KB )
/yingpanguazai/ssd/ssd1/www/a.460.net.cn/vendor/topthink/framework/src/think/contract/TemplateHandlerInterface.php ( 1.60 KB )
/yingpanguazai/ssd/ssd1/www/a.460.net.cn/vendor/topthink/think-template/src/Template.php ( 46.61 KB )
/yingpanguazai/ssd/ssd1/www/a.460.net.cn/vendor/topthink/think-template/src/template/driver/File.php ( 2.41 KB )
/yingpanguazai/ssd/ssd1/www/a.460.net.cn/vendor/topthink/think-template/src/template/contract/DriverInterface.php ( 0.86 KB )
/yingpanguazai/ssd/ssd1/www/a.460.net.cn/runtime/temp/80ec142d437acc197a4b556a08c383fc.php ( 11.98 KB )
/yingpanguazai/ssd/ssd1/www/a.460.net.cn/vendor/topthink/think-trace/src/Html.php ( 4.42 KB )
CONNECT:[ UseTime:0.000552s ] mysql:host=127.0.0.1;port=3306;dbname=aa460;charset=utf8mb4
SHOW FULL COLUMNS FROM `fenlei` [ RunTime:0.000677s ]
SELECT * FROM `fenlei` WHERE `fid` = 0 [ RunTime:0.000302s ]
SELECT * FROM `fenlei` WHERE `fid` = 63 [ RunTime:0.000277s ]
SHOW FULL COLUMNS FROM `set` [ RunTime:0.000446s ]
SELECT * FROM `set` [ RunTime:0.000202s ]
SHOW FULL COLUMNS FROM `article` [ RunTime:0.000599s ]
SELECT * FROM `article` WHERE `id` = 493085 LIMIT 1 [ RunTime:0.000460s ]
UPDATE `article` SET `lasttime` = 1774972042 WHERE `id` = 493085 [ RunTime:0.002649s ]
SELECT * FROM `fenlei` WHERE `id` = 64 LIMIT 1 [ RunTime:0.000206s ]
SELECT * FROM `article` WHERE `id` < 493085 ORDER BY `id` DESC LIMIT 1 [ RunTime:0.000429s ]
SELECT * FROM `article` WHERE `id` > 493085 ORDER BY `id` ASC LIMIT 1 [ RunTime:0.000433s ]
SELECT * FROM `article` WHERE `id` < 493085 ORDER BY `id` DESC LIMIT 10 [ RunTime:0.000687s ]
SELECT * FROM `article` WHERE `id` < 493085 ORDER BY `id` DESC LIMIT 10,10 [ RunTime:0.001390s ]
SELECT * FROM `article` WHERE `id` < 493085 ORDER BY `id` DESC LIMIT 20,10 [ RunTime:0.004962s ]
0.102282s